Cars / SUVs / Vans


2009 Hyundai Santa Fe SUV

Unreserved

Pick up location: 203 60th Street East, Saskatoon, SK

Time Left:

 
 
 
 

Close Date

Tue Mar. 31, 2026 12:00 pm CST

Current Bid: 200 CAD

adamrep - 2 bids

Item Quantity: 1


Condition: Has Key - Starts and Runs


Serial Number: 5NMSG73E19H319389


Subject to 15% Buyers Premium to a Max of $2000 per lot and a Minimum of $20 per lot.

Listing Details

Features and Specifications

Has Key
Starts And Runs
Fleet Vehicle
Colour: Black
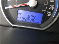
Mileage (Showing Unverified): 342,495 km
Engine: 3.3L
Automatic
AWD
4-Door
Air
Cruise
Tilt
Power Locks
Power Mirrors
Power Windows
Power Seats
Seats: 5
Heated Seats
Bench
Buckets
Stereo: AM/FM/CD/AUX
Sunroof
Satellite Radio
Tires: 235/70R16
Not Test Driven*
Damages:

Rust, Peeling and Wear on the Body

Seats are Worn and Stained

Interior is Worn and Stained

Registration History:

Previously Sask Registered or Permitted

May Require Sask Certification

Original Registration Has Not Been Provided


All payments must be made in full before the item(s) can be released to the purchaser. Please note that all sales are final on this auction sale. Please be advised the purchaser is held accountable for the item(s) within their purchased lot(s). The purchased lot(s) must be completely removed from its location when picked up by the purchaser. Failure to comply to the above requirements results in a mandatory disposal fee.

From the time this unit arrived at McDougall Auction's sale location, McDougall Auction verified its specific running condition. Please note there may be minor wear and tear, such as dents, scratches, etc., that are not disclosed in this listing.

There is no guarantee, representation, or warranty that the vehicle will start, run at idle, or regarding its current registration status at the time of pick-up from McDougall Auction's facility.

It is the purchaser's sole responsibility to ascertain, confirm, research, inspect, and/or investigate the unit prior to bidding. Once the unit has been removed from McDougall Auction's sale location, the purchaser accepts the unit "as is."

 

Lot Overview

Documents

View All Items Within This Auction

Pick Up & Conditions

Terms

TERMS & CONDITIONS - Cash, Debit, Visa, MasterCard, Certified Cheque, Corporate Creditor Or Online Payments. (2.4% Convenience Fee On Credit Card Transactions) - Buyer's Premium 15%, with a minimum fee of $20 per lot and a maximum of $2,000 per lot. - Subject To Additions & Deletions.

View All Items Within This Auction

Recently Viewed

Location: 800 North Service Road, Emerald Park, SK


Lot: 12Status: Open


Current Bid: $200.00 CAD
carhartt kid


Close date:

Mon Mar. 30, 2026
12:00 pm CST

Location: 800 North Service Road, Emerald Park, SK


Lot: 3Status: Open


Current Bid: $10,000.00 CAD
Papapimp


Close date:

Mon Mar. 30, 2026
12:00 pm CST